Let's Take A Look
Schedule a showing now!
Florence, TX 76527
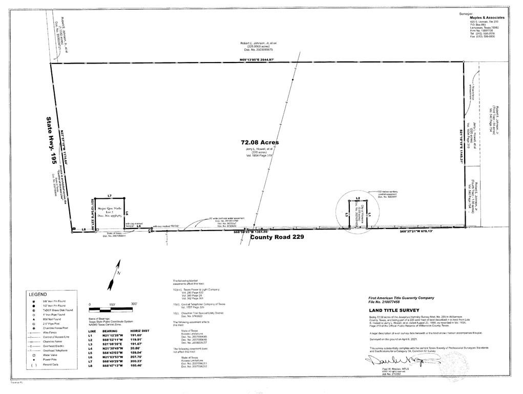
Gold Tier is pleased to present a prime 72.08 acre tract of land in Florence, Texas. The seller is willing to subdivide into minimum 10.01 acre tracts. The property has great street visibility with over 1,200 feet of Highway 195 frontage and 2,700 feet of County Road 229 frontage. The future development of the site is promising with no FEMA flood zone, a 6†water line running the length of the property on County Road 229, and a 8" Florence sewer line approx. 2,400 feet from the site. Located in an Opportunity Zone.
Listed by Gold Tier Real Estate, LLC
| MLS ID | ACT8397664 | |
| Status | Active | |
| Days Active | 1539 | |
| Est. Tax | $17 | |
| Lot Size | 72.08 | |
| Year Built | ||
| Total Bedrooms | 0 | |
| 1st Floor Bedrooms | ||
| Full Baths | ||
| Half Baths | ||
| Square Feet | 0 | |
| Price Per SqFt | N/A | |
| Garage Spaces | ||
| Fireplace(s) | ||
| Fireplace Info | ||
| Flooring | ||
| Stories | ||
| Pool | No | |
| Courtesy of | Gold Tier Real Estate, LLC (512) 674-5727 | |
| Subdivision | None | |
| City | Florence | |
| County | Williamson | |
| HOA | ||
| HOA Fee | $ / | |
| Water Front | No | |
| Roof | ||
| Construction | None | |
| Foundation | ||
| Fencing | Barbed Wire | |
| Elementary School | Florence |
| Middle School | Florence |
| High School | Florence |
| Appliances | None | |
| Heating | ||
| Cooling | ||
| Exterior Features | ||
| Lot Features | Trees-Small (Under 20 Ft) | |
| Community Features | None | |
| Patio Features | None | |
| Structures | None | |
| Interior Features | ||
| Courtesy of | Gold Tier Real Estate, LLC(512) 674-5727 | |
| Fencing Features | Barbed Wire | |
| Parking Features | None | |