Let's Take A Look
Schedule a showing now!
Austin, TX 78744
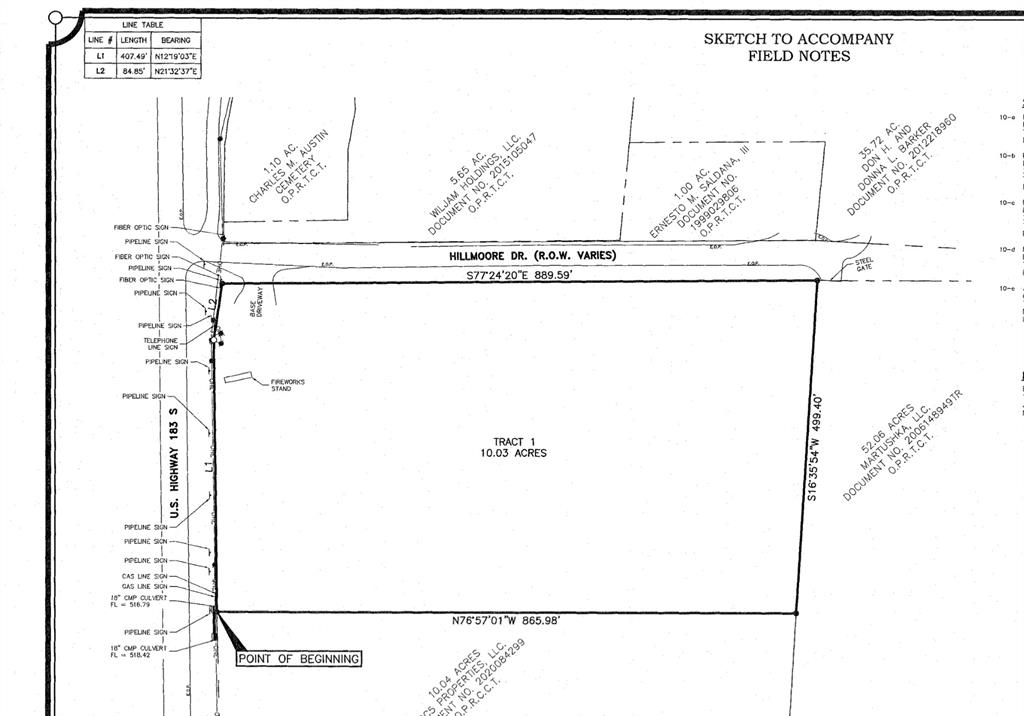
Investment Opportunity: Located in the an opportunity zone and in growing Southeast Austin. This parcel of land is located within the ETJ but does have an AO3 overlay which will not allow Multifamily or other residential dwellings. Adjacent tract(south of this parcel) sold and tract to the south of that parcel is currently under contract. May be eligible for special tax abatements since it is located in a Revitalization Area. Seller is looking for 120-180 feasibility option with extension options. Money to go hard on day one. Best use is retail, industrial, or hospitality.
Listed by Realty One Group Prosper
| MLS ID | ACT6465396 | |
| Status | Active | |
| Days Active | 1050 | |
| Est. Tax | N/A | |
| Lot Size | 10.035 | |
| Year Built | ||
| Total Bedrooms | 0 | |
| 1st Floor Bedrooms | ||
| Full Baths | ||
| Half Baths | ||
| Square Feet | 0 | |
| Price Per SqFt | N/A | |
| Garage Spaces | ||
| Fireplace(s) | ||
| Fireplace Info | ||
| Flooring | ||
| Stories | ||
| Pool | No | |
| Courtesy of | Realty One Group Prosper (512) 537-5205 | |
| Subdivision | U S Hwy 183 | |
| City | Austin | |
| County | Travis | |
| HOA | ||
| HOA Fee | $ / | |
| Water Front | No | |
| Roof | ||
| Construction | ||
| Foundation | ||
| Fencing | ||
| Elementary School | Newton Collins |
| Middle School | Ojeda |
| High School | Del Valle |
| Appliances | ||
| Heating | ||
| Cooling | ||
| Exterior Features | ||
| Lot Features | Level | |
| Community Features | None | |
| Patio Features | ||
| Structures | None | |
| Interior Features | ||
| Courtesy of | Realty One Group Prosper(512) 537-5205 | |
| Fencing Features | ||
| Parking Features | ||